Will, US
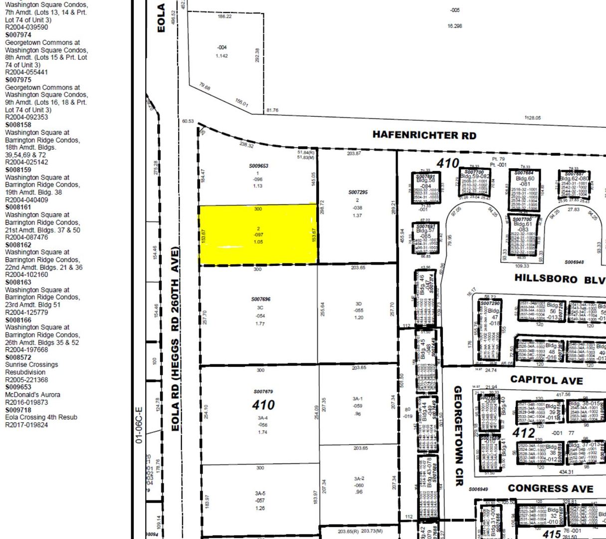
Great location, commercial lot is located just south of McDonald's and north of PNC Bank. Property features over 153 feet of frontage road and is 300 feet deep. Location would be great for a daycare, office/medical dental use, Beauty School, massage business, car/tool rental, mobile phone store, or any other business you may have in mind. Current owner does require some deed restrictions against a full service restaurant, quick service restaurant, marijuana dispensary, and pornographic material or entertainment business.
Courtesy Of: NTEG Realty LLC
General Features
- List Date:
- 11/03/2025
Exterior Features and Amenities
- Lot Size Dimensions:
- 153x300
Financial
- Days On Market:
- 143
- Tax Annual Amount:
- $19,945.78
- Tax Year:
- 2024
Directions
Lot is located south of the McDonald's located at Eola Road and Hafenrichter Road in Aurora.
The data relating to real estate for sale on this website comes in part from the Broker Reciprocity program of MRED LLC. Real Estate listings held by brokerage firms other than Hometown Real Estate are marked with the Broker Reciprocity logo or the Broker Reciprocity thumbnail logo (a little black house) and detailed information about them includes the names of the listing brokers. Some properties which appear for sale on this website may subsequently have sold and may no longer be available. The information being provided is for consumers' personal, non-commercial use and may not be used for any purpose other than to identify prospective properties consumers may be interested in purchasing.
Data last updated: 2026-03-25.
Copyright 2026 MRED LLC
