Kane, US
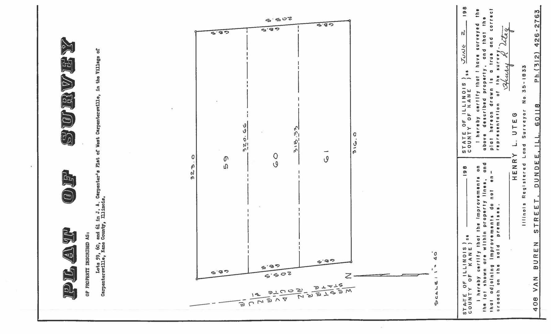
LOTS 59, 60 AND 61 (2 PARCEL NUMBERS). APPROXIMATELY 206 S.F. OF FRONTAGE. 1.50 ACRES TOTAL. LOCATED IN THE OLD TOWN TIF DISTRICT - INQUIRE ABOUT TAX INCENTIVES TO ASSIST WITH YOUR PLANS FOR THE PROPERTY. ZONED COMMERCIAL. GREAT SPOT FOR WALKOUT BUILDING OR LOWER LEVEL PARKING. 2 SMALL STRIP MALLS NEARBY AS WELL AS OTHER COMMERCIAL BUSINESSES. LISTING AGENT IS RELATED TO THE SELLER.
Courtesy Of: HomeSmart Connect, LLC.
Feature Highlights
- Additional Parcels
- Broker Owned/Interest
General Features
- List Date:
- 02/07/2026
Exterior Features and Amenities
- Lot Size Dimensions:
- 205 X 323 X 205 X 316
Financial
- Days On Market:
- 7
- Tax Annual Amount:
- $4,580.00
- Tax Year:
- 2024
Other Features
- Elementary School District:
- 300
- High School District:
- 300
- Middle Or Junior School District:
- 300
Directions
Route 31 (Western Avenue), north of Huntley Road (Main St) (across from Dundee Landscape Nursery - immediately south of No Manches Mexican Restaurant)
The data relating to real estate for sale on this website comes in part from the Broker Reciprocity program of MRED LLC. Real Estate listings held by brokerage firms other than Hometown Real Estate are marked with the Broker Reciprocity logo or the Broker Reciprocity thumbnail logo (a little black house) and detailed information about them includes the names of the listing brokers. Some properties which appear for sale on this website may subsequently have sold and may no longer be available. The information being provided is for consumers' personal, non-commercial use and may not be used for any purpose other than to identify prospective properties consumers may be interested in purchasing.
Data last updated: 2026-03-06.
Copyright 2026 MRED LLC
