McLean, US
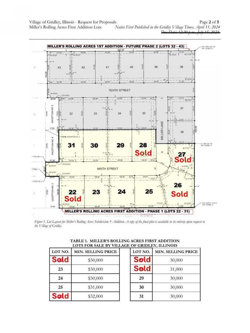
Lot 23: 1/3 Acre Lot available in new subdivision in NE Gridley - Miller's Rolling Acres First Addition. This is a great opportunity to build your custom dream home, using your favorite builder! Subdivision is located in the El Paso-Gridley School District with access to Village parks and public pool. Another amazing perk for the Village is golf carts are allowed within the city limits. All utilities are available to the building site. Call/Text George & Willow Gramm for more information and a tour of the Village of Gridley!
Courtesy Of: RE/MAX Choice
General Features
- List Date:
- 11/06/2025
Public Schools
- Elementary School:
- Jefferson Park Eleme
- High School:
- El Paso-Gridley High
Exterior Features and Amenities
- Lot Size Dimensions:
- 106 X 135
Financial
- Days On Market:
- 7
- Tax Year:
- 2024
Other Features
- Elementary School District:
- 11
- High School District:
- 11
- Middle Or Junior School District:
- 11
The data relating to real estate for sale on this website comes in part from the Broker Reciprocity program of MRED LLC. Real Estate listings held by brokerage firms other than Hometown Real Estate are marked with the Broker Reciprocity logo or the Broker Reciprocity thumbnail logo (a little black house) and detailed information about them includes the names of the listing brokers. Some properties which appear for sale on this website may subsequently have sold and may no longer be available. The information being provided is for consumers' personal, non-commercial use and may not be used for any purpose other than to identify prospective properties consumers may be interested in purchasing.
Data last updated: 2026-04-01.
Copyright 2026 MRED LLC
