Lake, US
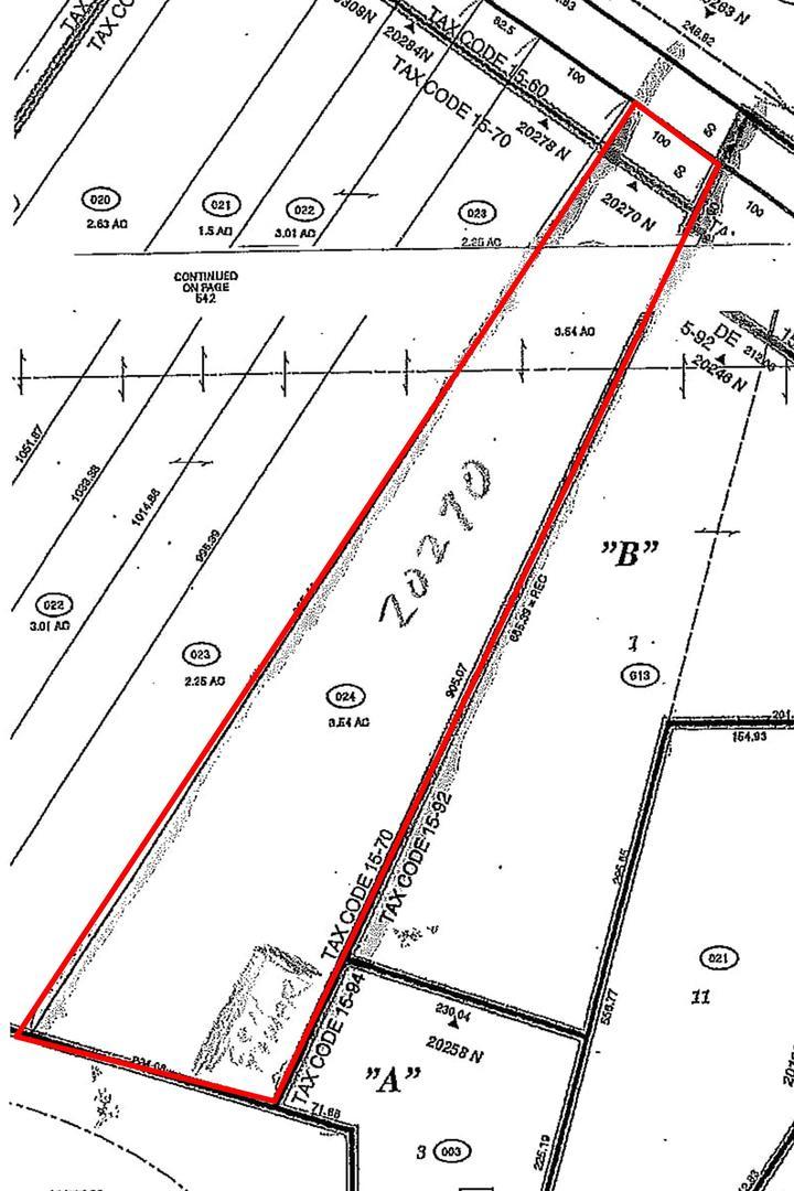
Prime Location 4.46 Acres 225 ft of Frontage on Rand Road. Multiple pin's 143444000100000,14344000110000. Properties are zoned for Planned Development, retail adjacent lot 20406 Rand Rd also available. Do Not Call Owners. Taxes reflect both pin numbers. Properties Address 20412 and 20416 Rand Road.
Courtesy Of: Keller Williams Success Realty
Feature Highlights
- Additional Parcels
General Features
- List Date:
- 11/06/2025
Exterior Features and Amenities
- Lot Size Dimensions:
- 225X855X271X705
Financial
- Days On Market:
- 7
- Tax Annual Amount:
- $24,695.29
- Tax Year:
- 2024
Directions
Rand Rd.(12) North of Lake Cook South of Deer Park Mall. Wooded Property next to Johns Pub.
The data relating to real estate for sale on this website comes in part from the Broker Reciprocity program of MRED LLC. Real Estate listings held by brokerage firms other than Hometown Real Estate are marked with the Broker Reciprocity logo or the Broker Reciprocity thumbnail logo (a little black house) and detailed information about them includes the names of the listing brokers. Some properties which appear for sale on this website may subsequently have sold and may no longer be available. The information being provided is for consumers' personal, non-commercial use and may not be used for any purpose other than to identify prospective properties consumers may be interested in purchasing.
Data last updated: 2026-04-09.
Copyright 2026 MRED LLC
