

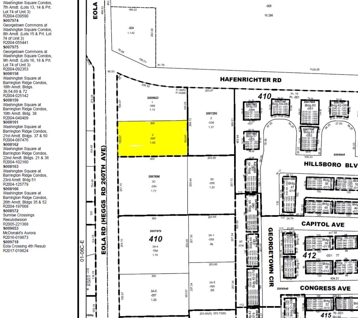
Great location, commercial lot is located just south of McDonald's and north of PNC Bank. Property features over 153 feet of frontage road and is 300 feet deep. Location would be great for a daycare, office/medical dental use, Beauty School, massage business, car/tool rental, mobile phone store, or any other business you may have in mind. Current owner does require some deed restrictions against a full service restaurant, quick service restaurant, marijuana dispensary, and pornographic material or entertainment business.