Kane, US
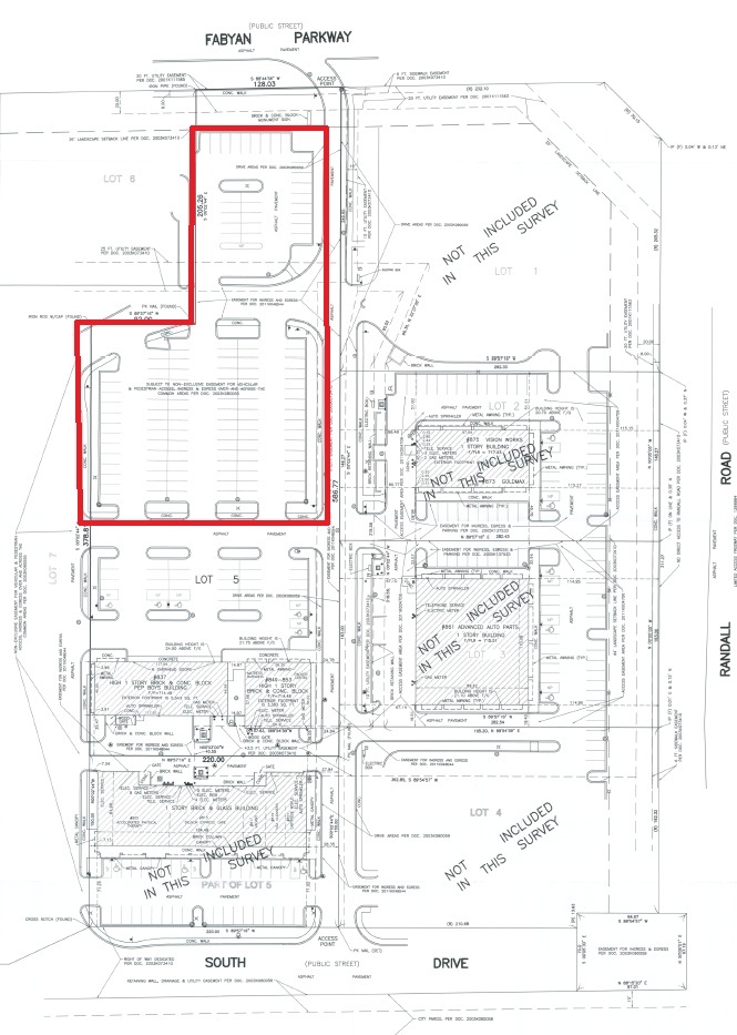
Approx. 62,000 sf of land currently paved parking. Site to be demised form original site of 113,470 sf site. Build more stores or use for vehicle or truck storage for rental business etc. Owner motivated to demise property for additional development.
Courtesy Of: Strauss Realty Ltd
General Features
- List Date:
- 04/28/2025
Exterior Features and Amenities
- Lot Size Dimensions:
- 220X165X128X205
Financial
- Days On Market:
- 363
- Tax Annual Amount:
- $59,482.00
- Tax Year:
- 2022
Other Features
- Elementary School District:
- 101
- High School District:
- 101
- Middle Or Junior School District:
- 101
Directions
Fabyan Pkwy & N Randall Rd to parcel between Walmart and randall Rd. north of Pacer Dental and Pep Boys
The data relating to real estate for sale on this website comes in part from the Broker Reciprocity program of MRED LLC. Real Estate listings held by brokerage firms other than Hometown Real Estate are marked with the Broker Reciprocity logo or the Broker Reciprocity thumbnail logo (a little black house) and detailed information about them includes the names of the listing brokers. Some properties which appear for sale on this website may subsequently have sold and may no longer be available. The information being provided is for consumers' personal, non-commercial use and may not be used for any purpose other than to identify prospective properties consumers may be interested in purchasing.
Data last updated: 2026-05-02.
Copyright 2026 MRED LLC
